VERKAUFT !
grosses, gut aufgeteiltes Reihenmittelhaus mit Ausbaureserve im DG
in Karlsruhe – Grünwettersbach
Wünschen Sie sich richtig viel Platz zum Wohnen und Arbeiten mit
einem schönen Garten, der jedoch nicht zu groß ist?
Dann sollten Sie sich dieses „Häuschen“ einmal genauer betrachten!
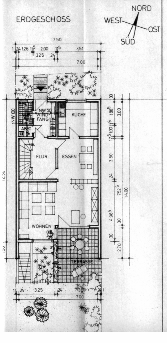
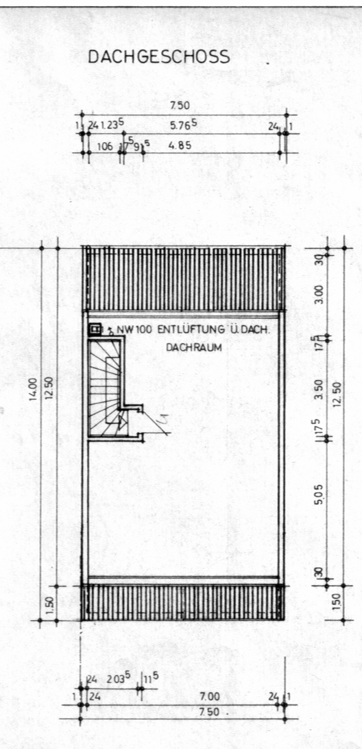
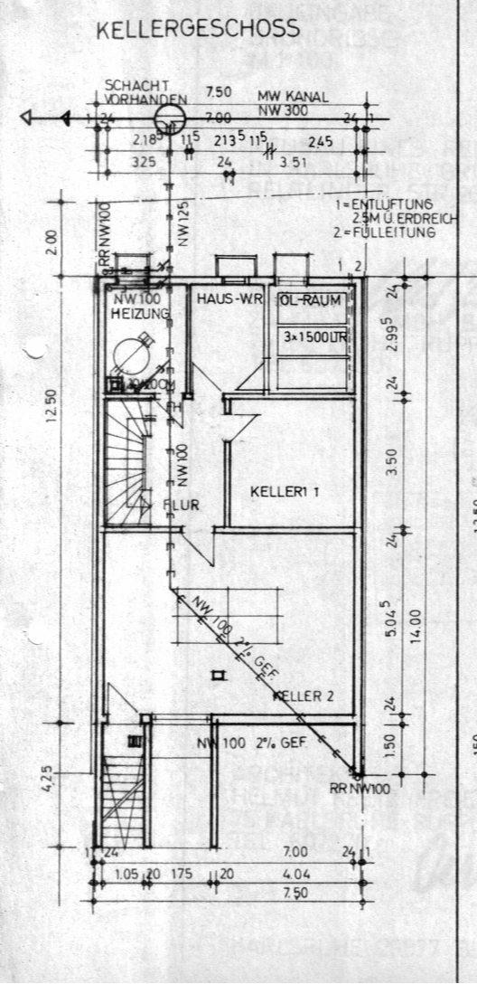
Die Wohnfläche im EG und OG beträgt etwa 144 qm. Hinzu kommt das bereits ausgebaute Dachgeschoss mit etwa 65 qm. Ein Spitzboden ist vorhanden und könnte ein zusätzliches schönes Zimmer von etwa 30 qm werden. Das ergibt eine Gesamtwohnfläche von etwa 240 qm. Das Gebäude ist komplett unterkellert. Hier gibt es Kellerräume, eine Waschküche, den Heizraum und den Öl-Lagerraum.
Preis: xxx.xxx,– Euro
Baujahr: etwa 1977
Wohnfläche: gesamt möglich: ca. 240 qm
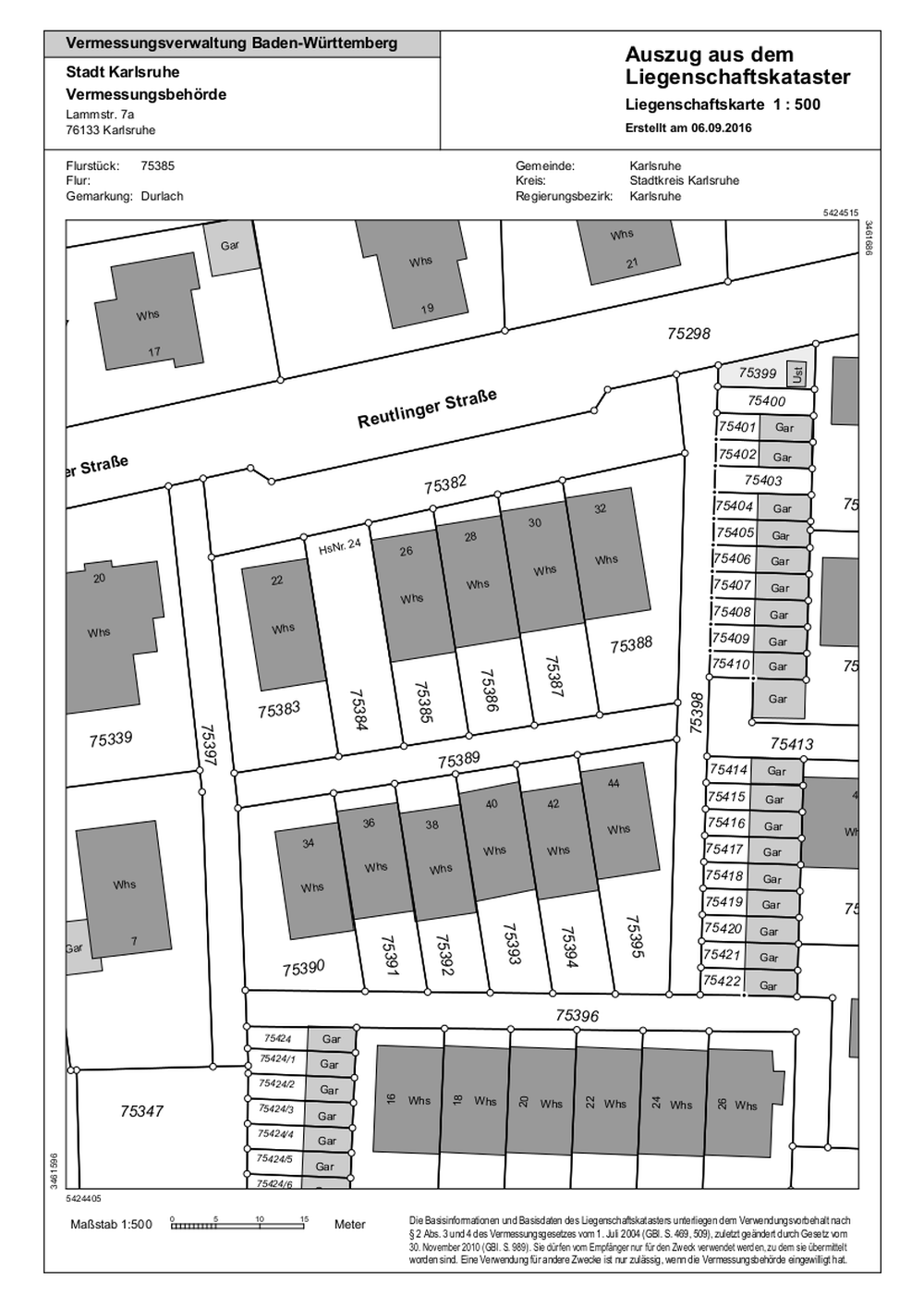
Das Grundstück (Flurstück-Nr. 75385) umfasst etwa 194 qm. Hinzu kommt ein separates Flustück Nr. 75404 für die Garage mit etwa 33 qm. Dies ergibt eine Gesamtgrundstücksfläche von etwa 227 qm.
Das Wohnhaus wird straßenseitig, im Norden, erschlossen. Hier gibt es einen kleinen Vorgarten. Somit ist der gewachsene, rückseitige Süd-Garten die eigentliche Wohlfühlfläche.
Lageplan:
Konstruktion des Gebäudes:
Außenwände: hauptsächlich Massiv-Mauerwerk
Innenwände: hauptsächlich Massiv- Mauerwerk
Heizung:
Öl-Zentralheizung
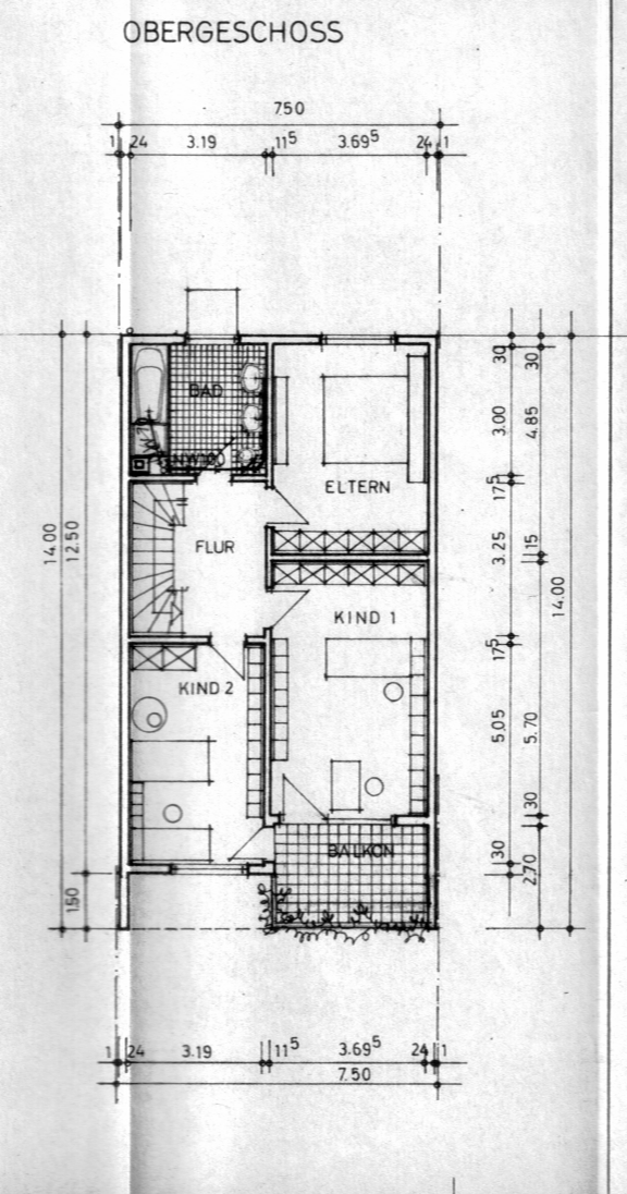
Grundrisse und Schnitt:
Im Baulastenverzeichnis sind keine Baulasten eingetragen. (Bescheinigung der Stadt liegt vor)
Die Erschließungsbeiträge sind vollständig bezahlt. (Bescheinigung der Stadt liegt vor)
Lage:
Grünwettersbach ist ein südöstlicher Höhenstadtteil von Karlsruhe. Unser Grundstück, im Osten von Grünwettersbach, liegt in unmittelbarer Nähe von Wiesen und Feldern. DIe Reutlinger Straße ist eine innerörtliche Erschließungsstraße. Sie verfügt allerdings über einen parallelen Straßenzug, der eine weitgehend autofreie Vorzone direkt an den dortigen Reihenhäusern ermöglicht. Für eine Familie mit Kindern ist das prima.
Zusammen mit dem direkt angrenzenden Nachbarort Palmbach verfügt Grünwettersbach über etwa 5.800 Einwohner.
Grünwettersbach vereint die Vorteile der Zugehörigkeit zur Stadt Karlsruhe und die naturnahe Lage. Mit dem öffentlichen Nahverkehr (Bus) ist man schnell am Karlsruher Hauptbahnhof (ca. 13 km), bzw. in Durlach (ca. 10 km). Der Busverkehr erfolgt regelmäßig in kurzen Zeitabständen. Die nächste Autobahnanschlussstelle liegt ca. 3 km entfernt.
In Wettersbach gibt es bislang vier Kindergärten und eine Grundschule. Das Betreuungsangebot der Kindergärten reicht von 0 bis 6/7 Jahren. Der nächst gelegene Kindergarten ist der katholische Kindergarten. Er befindet sich im gleichen Gebäude wie die Grundschule. Fußläufig erreicht man dieses in etwa 5 Minuten.
Sämtliche weiterführende Schulen findet man sowohl in Durlach, in Karlsruhe als auch in Karlsbad-Langensteinbach. Diese sind mit dem Bus mühelos erreichbar.
Wettersbach bietet unzählige Kinderspielplätze und ein reiches Vereinsangebot. Ein besonders schöner Spielplatz liegt direkt „um die Ecke“ in etwa 2 Minuten Entfernung.
Für die Dinge des täglichen Bedarfs ist gesorgt.





















